Recomendaciones ante el inminente impacto de “WILLA” en la zona sur de Sinaloa
- Se suspenden las actividades laborales a partir de las 14:00 horas
Mazatlán, Sinaloa, 23 de octubre.- Ante el inminente impacto del huracán “WILLA” de...
Recomendaciones ante el inminente impacto de “WILLA” en la zona sur de Sinaloa
- Se suspenden las actividades laborales a partir de las 14:00 horas
Mazatlán, Sinaloa, 23 de octubre. Ante el inminente impacto del huracán “WILLA” de...
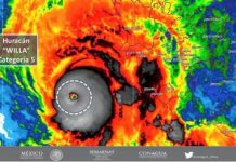
SEGUNDO RESUMEN DE INFORMACIÓN Y ACCIONES PREVENTIVAS ANTE EL POSIBLE IMPACTO DE “WILLA”
MAZATLÁN, SINALOA; 11:10 HORAS DEL MARTES 23 DE OCTUBRE
⁃ El Servicio Meteorológico Nacional reporta que el centro del Huracán “WILLA”, degradado a categoría 3,...
RESUMEN DE INFORMACIÓN Y ACCIONES PREVENTIVAS ANTE EL POSIBLE IMPACTO DE “WILLA”
⁃ El huracán “WILLA” de categoría 4, mantiene su pronóstico de trayectoria para tocar tierra en la zona sur de Sinaloa, entre Escuinapa y...
Preparado el sur del estado ante el arribo de “Willa”; suspenden clases martes y...
* El gobernador del estado encabezó la reunión del Comité de Protección Civil en Escuinapa, para afinar la fase preventiva
Ante el inminente impacto del...
#ESCUINAPA #SEL En Alerta Ante el Alto Riesgo de Willa
*Preparados para evacuación
*Listos los albergues en la zona
Un 80 por ciento de probabilidades existen de que el huracán Willa, que está actualmente en categoría...
En alerta Escuinapa por efectos de Willa: Alcalde
*Este lunes activarán los albergues
*Evacuarán zonas de inundación
Para prever las afectaciones que se puedan tener por el huracán Willa, el municipio de Escuinapa tiene...
Evacuan a cinco comunidades de Escuinapa por Willa
Más de 6 mil personas tendrán que dejar sus hogares.
México.- El ayuntamiento de Escuinapa evacuará a cinco comunidades del municipio debido a la cercanía...
Paga la Sepyc 7.5 mdp a jubilados de la sección 27 del SNTE
En atención al compromiso que tiene el gobernador de Sinaloa, Quirino Ordaz Coppel con los jubilados de la sección 27 del SNTE, este lunes...
Vigilan trayectoria de Vicente y Willa
La formación de la Tormenta Tropical Willa al sur de las costas de Colima y Michoacán, mantiene a las autoridades en vigilancia.
Esta ubicada a 390...

















